Новости - ГУ «Гомельская областная государственная инспекция по семеноводству, карантину и защите растений»
 

Электронные обращения

Время работы:
Понедельник-Пятница : 08:30 - 17:00

Контактные телефоны

  • Тел:
    +375 232 504040 (приемная директора)
     
     
    +375 232 501108 (отдел кадров
    инспекции)
 

Новости инспекции

Инспекция по семеноводству Инспекция по карантину Инспекция по защите растений

 1 2 3 4 5 6 7 8 9 10 11 12 13 14 15 16 17 18 19 20 21 22 23 24 25 26 27 28 29 30 31 32 33 34 35 36 37 38 39 40 41 42 43 44 45 46 47 48 49 50 51 52 53 54 55 56 57 58 59 60 61 62 63 64 65 66 67 68 69 70 71 72 73 74

2025-09-26
РЕЖИМЫ ВНЕСЕНИЯ СРЕДСТВ ЗАЩИТЫ РАСТЕНИЙ В ЗАВИСИМОСТИ ОТ ПОГОДНЫХ УСЛОВИЙ
Изображение

В конце сентября отмечается понижение дневных температур воздуха до +9…+12 °C, ночных – до +1…+3 °C. Влияние похолодания на эффективность средств защиты растений в посевах озимых зерновых культур и озимого рапса – это основной вопрос, который сейчас тревожит агрономов.

При внесении гербицидов согласно «Государственного реестра средств защиты растений…» в рекомендуемых нормах расхода, следует учитывать состояние развития посевов, сорных растений, температуры и влажности воздуха.

В посевах озимых культур вносить гербициды при температуре +9…+12 °C, вполне возможно, поскольку гербициды сульфонилмочевинной группы активны уже при +5... +7 °С, однако оптимальные температурные условия применения всех гербицидов от +12 °С до +20 °С (таблица).

При дневных температурах +12…+15 °С в течение не менее 4–6 часов можно применять смеси гербицидов группы 2–ЭГЭ 2,4–Д кислоты с гербицидами производными сульфонилмочевины.

В дни, когда температура не превышает днем +3…+4 °С или при продолжительных ночных заморозках (до –3…–5 °С), прополку целесообразно приостановить и ждать восстановления температуры до приемлемого уровня.

При кратковременных заморозках (0…–1 °С) допускается внесение большинства гербицидов листового действия через 6–8 часов в дневное время.

Следует помнить, что гербицидное действие у всех препаратов при их внесении при минимальных температурах проявляется медленнее, чем при обработке в оптимальном температурном режиме.

При наличии взошедших сорных растений для проникновения гербицидов, как через их лист, так и корневую систему, необходимо, чтобы после применения гербицидов до выпадения осадков прошло не менее 4 часов.

Недостаток влаги в почве в осенний период может сказаться на биологической эффективности комбинированных гербицидов, обладающих почвенно-листовым действием и при таких условиях рекомендуется весной «дополка» посевов.

Следует понимать, что при низких температурах сорняки также имеют растянутый период роста и развития, в связи с чем значительная их часть просто не успевает попасть под обработку. Дальнейшее решение о целесообразности применения гербицидов необходимо принимать с учетом фазы развития сорных растений и культуры.

Таблица – Условия применения действующих веществ гербицидов в осенний период

Действующее вещество гербицида Условия применения
Йодосульфурон-метил-натрий + мезосульфурон-метил + дифлюфеникан + мефенпир-диэтил /антидот/
  • – t – +8…+18 °С;
  • – вносятся в ранние фазы развития сорных растений;
  • – хорошо «работают» при засушливых условиях (но лучше достаточная влажность);
  • – мелковатая структура почвы
Йодосульфурон-метил-натрий + мефенпир-диэтил /антидот/
  • – t – +5…+18 °С;
  • – вносятся в ранние фазы развития сорных растений;
  • – хорошо «работают» при засушливых условиях (т.е. влажность не имеет значения)
Изопротурон + дифлюфеникан
  • – t – +12…+20 °С;
  • – вносятся в ранние фазы развития сорных растений;
  • – в засушливых условиях лучше вносить в максимальной норме
Метрибузины
  • –t – +5…+20 °С;
  • – возможность создания любой комбинации в зависимости от видового состава и фазы сорных растений;
  • – могут снизить эффективность при засушливых условиях;
  • – во влажных погодных условиях вносится минимальная норма метрибузинов
Дифлюфеникан + флуфенацет + метрибузин
  • –t – +8…+18 °С;
  • – достаточная влажность почвы;
  • – мелковатая структура почвы
Амидосульфурон + йодосульфурон-метил-натрий + мефенпир-диэтил /антидот/
  • –t – +5…+20 °С;
  • – при наличии злаковых сорных растений возможна баковая смесь с метрибузинами, гербицидом Атрибут, ВГ
Тифенсульфурон-метил + флуметсулам + флорасулам
  • –t – +5…+18 °С;
  • – действует на сорные растения, имеющиеся в посевах на момент обработки, а также на взошедшие после обработки
2–ЭГЭ 2,4–Д кислота + флорасулам
  • –t – +12…+20 °С;
  • – широкий спектр действия;
  • – в баковых смесях – минимальные нормы из рекомендованных;
  • – при наличии пикульника обыкновенного, фиалки полевой, вероники полевой – желательно баковые смеси
Пропоксикарбазон натрия в смеси с гербицидами сульфонилмочевинной группы
  • –t – +8…+18 °С;
  • – достаточная влажность почвы;
  • – возможность создания любой комбинации в зависимости от видового состава и фазы развития сорных растений

Следует понимать, что развитие и вредоносность вредителей при понижении температур до +10 … +14 °С значительно снижается, откладка яиц часто ослабевает или прекращается, гусеницы уходят на зимовку в почву и т.д. Однако при наличии ЭПВ для борьбы с вредителями озимого рапса и озимых зерновых культур применяют инсектициды из различных групп химических соединений, согласно «Государственного реестра...». Для достижения максимальной биологической эффективности, инсектициды желательно вносить при следующих температурных параметрах:

  • – синтетические пиретроиды – +10... +20 °С;
  • – фосфорорганические соединения (ФОСы) – +15... +20 °С;
  • – неоникотиноиды и авермектины – +15... +20 °С;
  • – бутенолиды – + 10... +20 °С;
  • – пиметрозины – +15… +20 °С.

После внесения препаратов, ночные заморозки не допускаются.

Фунгициды и регуляторы роста на основе д.в. из химического класса триазолы в посевах озимого рапса вносятся при температуре воздуха выше +10...+14 °C, на основе тренкасапак-этила можно вносить при температуре +8 °С, а также мепикватхлорида +5 °С. Не рекомендуется внесение регуляторов роста перед предстоящими ночными заморозками.

Рекомендации подготовили: Л. И. Сорока, А. А. Запрудский, Е. А. Якимович


2025-09-26
ПРОПОЛКА ОЗИМЫХ ЗЕРНОВЫХ КУЛЬТУР В ОСЕННИЙ ПЕРИОД 2025 ГОДА
Изображение

Сорный ценоз озимых зерновых культур на 90–95 % формируется в осенний период. Наиболее вредоносными однолетними видами сорных растений в посевах озимых зерновых культур являются зимующие – трехреберник непахучий, василек синий, подмаренник цепкий, фиалка полевая, пастушья сумка обыкновенная, ярутка полевая, звездчатка средняя, метлица обыкновенная, мятлик однолетний и другие.

Часть из них всходят очень рано, конкурируя за элементы питания, свет, воду на ранних этапах развития культуры, тем самым ослабляя культурные растения, и снижая их устойчивость к болезням и перезимовке.

Основными причинами высокой засоренности являются:

  • – запас семян и вегетативных органов размножения сорных растений в почве;
  • – наличие семян в посевном материале, соломе и в органических удобрениях;
  • – занос семян из земель не сельскохозяйственного использования;
  • – высокая плодовитость сорных растений;
  • – отказ от агротехнических мероприятий – лущения и полупаровой обработки почвы и других.

В последние годы в посевах сельскохозяйственных культур отмечена высокая численность мелколепестника канадского, дремы белой, видов осота и др., поэтому при посеве необходимо соблюдать агротехнические мероприятия (лущение стерни, вспашка, предпосевная культивация). Удельный вес зерновых культур в севообороте занимает около 70 %, что способствует засоренности посевов.

После уборки предшественника, при наличии многолетних злаковых и двудольных сорных растений рекомендуется внесение глифосатсодержащих гербицидов. Вносить глифосаты лучше в утренние и вечерние часы. В это время устьица растений открываются, а небольшая роса на листьях способствует передвижению веществ в растениях и поглощению препарата.

В погодных условиях осени 2025 г. отмечается достаточное наличие почвенной влаги, что способствует активному прорастанию сорных растений из семян и корневой системы.

Проведенные исследования в последние годы показывают, что при существующей высокой засоренности агротехнические мероприятия не могут очистить посевы от сорняков до экономически безопасного уровня. Поэтому химический метод остается ведущим в управлении засоренностью посевов.

Осеннее применение гербицидов в посевах озимых зерновых культур имеет ряд преимуществ по сравнению с весенним, поскольку обеспечивает высокую биологическую эффективность прополки и меньше зависит от неблагоприятных погодных условий. Запас осенне-зимней влаги способствует эффективному действию и детоксикации препаратов, формированию более здорового травостоя и улучшению перезимовки. Благодаря более раннему освобождению культуры от сорняков и лучшей перезимовке, возможна прибавка урожая на 2–5 ц/га больше, чем при весеннем проведении работ.

В достаточно влажных условиях республики в осенний период эффективно применение гербицидов почвенного действия, которые применяются как до всходов, так и по вегетации культур.

В посевах зерновых культур наблюдается смешанный тип засорения, т.е. произрастают как однолетние и многолетние двудольные, так и злаковые сорные растения. При данном типе засорения лучше применять для прополки гербициды с несколькими действующими веществами или же баковые смеси гербицидов.

Отдельные гербициды, например на основе изопротурона и дифлюфеникана можно вносить в разные сроки – до всходов культуры, в фазу 1–3 листьев культуры и при полном ее кущении, дифлюфеникан + флуфенацет + метрибузин – до всходов культуры или до фазы 3 листьев культуры, пендиметалин + изопротурон – до всходов или в фазу 1–4 листьев культуры, пендиметалин + пиколинафен – до всходов, в фазу 1–3 листьев – кущения культуры. Вышеуказанные гербициды с растянутым сроком применения в засушливых погодных условия целесообразно вносить осенью в фазу 2–3 листьев культуры и в ранние фазы роста сорных растений.

Большинство гербицидов в посевах зерновых культур вносятся в период осенней вегетации в зависимости от спектра сорных растений:

  • – против комплекса однолетних двудольных (трехреберник непахучий (ромашка непахучая), подмаренник цепкий, звездчатка средняя, пикульник обыкновенный, ярутка полевая и др.) и злаковых сорных растений (метлица обыкновенная, просо куриное, мятлик однолетний) в осенний период рекомендуется прополка гербицидами на основе таких д.в. как йодосульфурон-метил-натрий, йодосульфурон-метил-натрий + дифлюфеникан, йодосульфурон-метил-натрий + мезосульфурон-метил + дифлюфеникан, изопротурон + дифлюфеникан, пендиметалин + хлортолурон + дифлюфеникан, дифлюфеникан + метрибузин + флорасулам, дифлюфеникан + флорасулам + пеноксулам, трибенурон-метил + метрибузин + дифлюфеникан, метрибузин + трибенурон-мети, баковые смеси метрибузинсодержащих гербицидов с препаратами сульфонилмочевинной группы относятся к высокоэффективным гербицидам против однолетних двудольных и злаковых сорных растений (метлица, мятлик, трехреберник, подмаренник, звездчатка и др.). Срок применения – ранние фазы развития сорняков, в фазе 2–3 листа – кущение культуры;
  • – против дремы белой в посевах озимых зерновых культур эффективны гербициды
  • сульфонилмочевинной группы
  • . Для химической борьбы с мелколепестником канадским можно использовать гербициды сульфонилмочевинной группы, препараты на основе д.в. дикамба, ЭГЭ 2,4-Д кислота + флорасулам, несколько ниже эффективность гербицидов на основе клопиралида;
  • – при засорении посевов однолетними двудольными сорными растениями (трехреберник непахучий, пастушья сумка обыкновенная, незабудка полевая, пикульник обыкновенный, падалица рапса, бодяк полевой), целесообразно применять осенью по вегетации культур гербициды сульфонилмочевинной группы на основе: трибенурон-метила, метсульфурон-метила, тифенсульфурон-метила и др. Срок применения – ранние фазы развития сорняков, в фазе 2–3 листа – кущение культуры;
  • – против однолетних двудольных сорных растений и подмаренника цепкого эффективны гербициды на основе дикамбы и сульфонилмочевин. Срок применения – ранние фазы развития сорняков, в фазе кущение культуры;
  • – при доминировании звездчатки средней, пастушьей сумки обыкновенной, незабудки полевой, пикульника обыкновенного, ярутки полевой, метлицы обыкновенной эффективно применение метрибузинсодержащих гербицидов. Метрибузинсодержащие гербициды можно смешивать с гербицидами сульфонилмочевинной группы. Следует отметить, что метрибузинсодержащие гербициды в чистом виде недостаточно эффективны против подмаренника цепкого. Срок применения – ранние фазы развития сорняков, в фазе 2–3 листа – кущение культуры;
  • – против метлицы обыкновенной и некоторых двудольных сорных растений в осенний период эффективно применение гербицидов с д. в. просульфокарб, но при высокой засоренности трехреберником непахучим, фиалкой полевой, звездчаткой средней, пикульником обыкновенным и др. рекомендуется проводить прополку баковыми смесями гербицидов (например, д.в. просульфокарб + двукомпонентный препарат (триасульфурон + дикамба). Срок применения – ранние фазы развития сорняков, кущение культуры;
  • – при доминировании в посевах трехреберника непахучего, звездчатки средней, пастушьей сумки обыкновеной, ярутки полевой, подмаренника цепкого, падалицы рапса целесообразно применение гербицидов на основе д.в. ЭГЭ 2,4-Д + флорасулам. Срок применения – ранние фазы развития сорняков, кущение культуры (таблица).

Таблица – Условия применения действующих веществ гербицидов в осенний период


Действующее вещество гербицида Условия применения
Йодосульфурон-метил-натрий + мезосульфурон-метил + дифлюфеникан + мефенпир диэтил /антидот/
  • -t – +8–18 °С;
  • вносятся в ранние фазы развития сорных растений;
  • -вносятся в ранние фазы развития сорных растений;
  • -хорошо «работают» при засушливых условиях (но лучше достаточная влажность);
  • -мелковатая структура почвы
Йодосульфурон-метил-натрий + мефенпир-диэтил /антидот/
  • -t – +5–18 °С;
  • -вносятся в ранние фазы развития сорных растений;
  • -хорошо «работают» при засушливых условиях (т.е. влажность не имеет значения)
Изопротурон + дифлюфеникан
  • - t – +12–20 °С;
  • -вносятся в ранние фазы развития сорных растений;
  • -в засушливых условиях лучше вносить в максимальной норме
Метрибузины
  • -t – +5–20 °С;
  • -возможность создания любой комбинации в зависимости от видового состава и фазы сорных растений;
  • -могут снизить эффективность при засушливых условиях;
  • -во влажных погодных условиях вносится минимальная норма метрибузинов;
Дифлюфеникан + флуфенацет + метрибузин
  • -t – +8–18 °С;
  • -достаточная влажность почвы;
  • -мелковатая структура почвы;
Амидосульфурон + йодосульфурон-метил-натрий + мефенпир-диэтил /антидот/
  • -t – +5–20 °С;
  • -при наличии злаковых сорных растений возможна баковая смесь с метрибузинами, гербицидом Атрибут, ВГ;
Тифенсульфурон-метил + флуметсулам + флорасулам
  • –t – +5–18 °С;
  • -действует на сорные растения, имеющиеся в посевах на момент обработки, а также на взошедшие после обработки;
2–ЭГЭ 2,4–Д кислота + флорасулам
  • -t – +12–20 °С;
  • -широкий спектр действия;
  • -в баковых смесях – минимальные нормы из рекомендованных;
  • – при наличии пикульника обыкновенного, фиалки полевой, вероники полевой – желательно баковые смеси;
Пропоксикарбазон натрия в смеси с гербицидами сульфонилмочевинной группы
  • -t – +8–18 °С;
  • -достаточная влажность почвы;
  • - возможность создания любой комбинации в зависимости от видового состава и фазы развития сорных растений

При засорении посевов культуры однолетними злаковыми сорными растениями целесообразно применять гербициды на основе феноксапроп-П этила, пиноксадена, пироксулама.

Также в борьбе с комплексом злаковых (в т.ч. пыреем ползучим) и некоторыми двудольными сорными растениями в посевах озимых зерновых культур эффективен гербицид на основе пропоксикарбазон натрия. Гербицид применяется в фазе кущения озимых зерновых культур (кроме ячменя озимого) как в чистом виде, так и в смеси с другими гербицидами.

Также в борьбе с комплексом злаковых (в т.ч. пыреем ползучим) и некоторыми двудольными сорными растениями в посевах озимых зерновых культур эффективен гербицид на основе пропоксикарбазон натрия. Гербицид применяется в фазе кущения озимых зерновых культур (кроме ячменя озимого) как в чистом виде, так и в смеси с другими гербицидами.

Гербициды необходимо применять согласно «Государственному реестру средств защиты растений и удобрений, разрешенных к применению на территории республики Беларусь».

Значительную роль в применении гербицидов играют погодные условия: температура, влажность и наличие осадков.

При наличии взошедших сорных растений для проникновения гербицидов, как через их лист, так и корневую систему, необходимо, чтобы после применения гербицидов до выпадения осадков прошло не менее 4 часов.

Следует помнить, что гербицидное действие у всех препаратов при их внесении при минимальных или повышенных температурах проявляется медленнее, чем при обработке в оптимальном температурном режиме.

Следует помнить, что гербицидное действие у всех препаратов при их внесении при минимальных или повышенных температурах проявляется медленнее, чем при обработке в оптимальном температурном режиме.

В дни, когда температура не превышает +3–4 °С, прополку целесообразно приостановить и ждать восстановления температуры до приемлемого уровня.

Если осенью внесены гербициды почвенного действия, то боронование посевов весной не проводится.

Недостаток влаги в почве в осенний период может сказаться на биологической эффективности комбинированных гербицидов, обладающих почвенно-листовым действием и при таких условиях рекомендуется весной «дополка» посевов.

Рекомендации подготовили: Л. И. Сорока, О. А. Шкляревская, Н. В. Кабзарь, И. Ю. Петровец, А. В. Сташкевич


2025-09-15
Рекомендации по хранению картофеля урожая 2025 года
Изображение

Хранение картофеля является не только завершающим и самым длительным этапом производства, но и его началом, поскольку от условий хранения семенного картофеля во многом зависит величина и качество будущего урожая. Решающим фактором является качество закладываемых на хранение клубней, к которым предъявляются следующие требования: они должны быть целыми, сухими, не проросшими, чистыми, без заболеваний, однородными по окраске и форме, зрелыми с плотной кожурой, без трещин. Не допускается содержание дефектных клубней – раздавленных, поражённых гнилями и фитофторой, а также с посторонними запахами, вызванными условиями выращивания. Это достигается путём предварительной сортировки клубней. Общее правило - чем ниже качество, тем ниже высота насыпи при таких способах хранения, как навальный, закромный и секционный. Наилучшие же условия для хранения картофеля обеспечивают стационарные хранилища с активной вентиляцией, которые оборудованы нагревательными элементами и системой охлаждения.

Весь период хранения картофеля включают в себя 3 важных этапа: лечебный период, период охлаждения и основной.


Период хранения Продолжительность, дни Температура, °СОтносительная влажность, %Расход воздуха, м³/ч на 1 т картофеля
Лечебный(обсушивание влажного картофеля, залечивания механических повреждений) 8–10 (до 20) 12–18 90–95 50–60; вентилирование 5–6 раз в сутки по 0,5 часа с перерывами 3,5–4 часа
Охлаждение(до уровня оптимальной температуры хранения сорта) 15–20 (25–40) В сутки температуру снижают на 0,5–1,0 до 2–4 90–95 50–60; вентилирование 8–10 час. в сутки
Основной(поддержание необходимого режима температуры и влажности) До 230 2,0–4,0 80–85 50–60; вентилирование 2–3 раз в сутки по 0,5 часа

Температура хранения определяется назначением картофеля. Оптимальная температура хранения продовольственного картофеля +5-7°С (для сохранения исходных вкусовых качеств), семенного 2-4°С.

Независимо от назначения хранящегося картофеля, относительная влажность воздуха в хранилище должна быть 85-95%.

Наиболее распространённое и вредоносное заболевание картофеля в период хранения – фузариозная сухая гниль. Она проявляется через 2-3 месяца хранения и достигает максимума к весне. Интенсивному её проявлению способствуют повышенная (свыше 5°С) температура и влажность воздуха.

Фитофторозная гниль картофеля проявляется на поверхности в виде твёрдых, слегка вдавленных пятен бурого или свинцово-серого цвета. Далее пятна развиваются внутрь, и поражённая ткань отмирает. Если в лечебный период создаётся высокая температура, то указанная болезнь получает интенсивное развитие.

Мокрая бактериальная гниль проявляется в виде желтоватого или оранжевого цвета, которые постепенно увеличиваются, идёт разложение тканей, клубень превращается в кашеобразную массу с неприятным запахом. Повышенная температура способствует развитию гнили. При температуре 15…20°С большие клубни сгнивают за 5-6 дней.

Обыкновенная парша проявляется в виде буроватых, неровных бугорков вокруг чечевичек, переходящих в сухие язвы. Они затрагивают и кожуру, и мякоть.

Фомозная гниль развивается во время зимнего хранения. На кожице появляются вдавленные пятна, похожие на отпечатки пуговицы. Затем под кожицей образуются пустоты.

Чёрная порошистая и серебристая парша, чёрная ножка, вирусы и другие заболевания также вызывают порчу картофеля.

Для предотвращения распространения и развития заболеваний в период хранения перед закладкой на хранение рекомендуется обработка клубней таким средствам защиты растений, внесёнными в «Государственный реестр средств защиты растений и удобрений, разрешённых к применению на территории Республики Беларусь», как биопестицид «Бактосол» - 0,5 л/тн. (сухая фузариозная, мокрая бактериальная и раневая водянистая гниль), Фитоспорин-М – 1 л/тн. (сухая фузариозная гниль), Кагатник – 0,25-0,4 л/тн. (сухая фузариозная гниль, серебристая парша), Нео-Стоп (ингибирование прорастание клубней при хранении) - обработка клубней (кроме семенных) в хранилищах с помощью ультрамалообъемного аэрозольного генератора сухим горячим туманом: - первая обработка при начальном образовании проростков на клубнях (24 мл/тн.), последующие – с интервалом 30 суток (16 мл/тн.).

Кроме этого, возможна фумигация складских помещений после загрузки картофеля на хранения: ВИСТ-Супер – 15 гр./тн. (защита от ризоктониоза, серебристой парши, сухой фузариозной гнили).

Также в период хранения не маловажна борьба с грызунами. Следует использовать зарегистрированные средства защиты растений: Смерть грызунам, Грызунит экстра блок и другие.

Картофель при хранении выделяет углекислый газ и тепло, которые необходимо устранять. Оптимальный состав воздуха в хранилище: не более 0,5-1,0% углекислого газа и 16-18% кислорода. Вентилируют хранилище рециркуляционном воздухом, а при повышении температуры – смесью внутреннего и наружного воздуха или только наружным воздухом. Если в верхнем слое насыпи наблюдается отпотевание, то необходимо выровнять температуру в хранилище и в насыпи за счёт обогрева верхней зоны с помощью электрокалориферов. Для исключения образования конденсата в верхнем слое температура воздуха над насыпью должна быть выше на 1-2°С, чем в насыпи.

Для ежедневного замера температуры на каждые 50 т картофеля закладывают термометры в слое 30-50 см от поверхности. Обязательным является установка термометров в магистральных вентиляционных каналах на расстоянии 1 м за вентилятором, а также измерение наружного воздуха. Все измерения заносят в журнал.

Контроль за температурой и влажностью в хранилищах проводят в лечебный период – ежедневно, после лечебный – один раз в двое суток, в основной период хранения – 2 раза в неделю. Замеры показателей проводят в трёх разных местах. Колебания температуры в хранилище должны быть не более ± 1°С, относительной влажности – 10%.

Соблюдение наиболее благоприятных и бережных условий хранения картофеля – залог снижения потерь и обеспечения конкурентоспособного качества клубней разного целевого назначения. Особенно это касается семенного картофеля, который во многом определяет судьбу будущего урожая.


Отдел фитосанитарной диагностики, прогноза и контроля
за применением средств защиты растений


2025-09-15

Сигнализационное сообщение № 26 от 15 сентября 2025 года

Внимание!!! Применение регуляторов роста в посевах озимого рапса!
Изображение

Применение регуляторов роста в посевах озимого рапса осенью способствует укорачиванию стебля, снижению риска перерастания посевов, это позволяет повысить их зимостойкость. За счет ингибирования роста растений рапса стимулируется развитие корневой системы и накопление питательных веществ в корнях, что способствует возможности раннего возобновления вегетации весной. И если растения достигли оптимальных параметров осенью, то они могут почти полностью компенсировать повреждения образованием новых побегов на хорошо развитой с осени корневой шейке.

Изображение

Оптимальная стадия применения регуляторов роста в период осенней вегетации озимого рапса


Решение о целесообразности использования регуляторов роста на озимом рапсе принимается в период осенней вегетации, когда растения рапса сформировали 4-6 настоящих листьев. Преимущества применения в этот период фунгицидов с росторегулирующим действием в том, что они не только регулируют развитие культуры, но и контролируют распространение болезней (альтернариоз, фомоз, цилиндроспориоз и др.).


Оптимальная стадия применения регуляторов роста в период осенней вегетации озимого рапса:


4-6 настоящих листьев (код ВВСН 14–16)


В соответствии со статьей 22 Закона Республики Беларусь от 25.12.2005 №77-З «О карантине и защите растений» в республике допускаются к применению только средства защиты растений, прошедшие государственную регистрацию и включенные в «Государственный реестр средств защиты растений и удобрений, разрешенных к применению на территории Республики Беларусь». Применение средств защиты растений должно осуществляться при реализации мероприятий по защите растений в соответствии с требованиями санитарных правил, иными обязательными для соблюдения требованиями ТНПА и с соблюдением рекомендаций по применению средств защиты растений лицами, имеющими специальную подготовку, а также с учетом требований, установленных законодательными актами в области охраны окружающей среды и рационального использования природных ресурсов.

Отдел фитосанитарной диагностики, прогноза и контроля
за применением средств защиты растений


2025-09-12
ЗАЩИТА ПОСЕВОВ ОЗИМОГО РАПСА ОТ ВРЕДИТЕЛЕЙ В ПЕРИОД ОСЕННЕЙ ВЕГЕТАЦИИ 2025 Г.
Изображение

Погодные условия в конце августа – начале сентября способствуют массовому распространению и развитию вредителей в посевах культуры. Учитывая тот факт, что эффективность протравителей семян инсектицидного действия снижается к фазе 4 настоящих листьев озимого рапса, необходим ежедневный мониторинг посевов культуры на наличие вредителей (рапсовый пилильщик, корневой (галловый) капустный скрытнохоботник, капустная тля и др.).

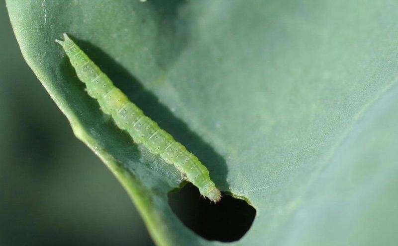
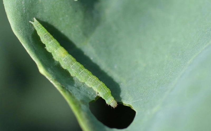
Рапсовый пилильщик (Athalia rosae L.). Лёт пилильщиков второго поколения начинается в июле – августе, ложногусеницы которого вредят на озимом рапсе в фазе всходов – розетки листьев. Ложногусеницы питаются листьями, беспорядочно объедая их с краев и середины, или объедают молодые побеги, цветки и завязи. Они очень прожорливы и обычно уничтожают лист почти полностью, не трогая толстых жилок (рисунок 1).

Изображение

Рисунок 1 – Повреждения озимого рапса ложногусеницами рапсового пилильщика


При проведении мониторинга посевов озимого рапса, необходимо обратить внимание на следующее:

  • - в первую очередь обследовать посевы, где не применялся инсектицидный протравитель семян, а только фунгицидный;
  • - обследовать растения ранних сроков сева
  • - провести осмотр участков расположенных вблизи однолетних крестоцветных культур, являющихся источником заселения посевов озимого рапса; – проводить ежедневный мониторинг посевов культуры.
  • - при наличии в посевах культуры 1–2 ложногусеницы на 1 растение (заселении 10 % и более), необходимо проводить опрыскивание посевов инсектицидами согласно «Государственного реестра средств защиты растений...».

Корневой (галловый) капустный скрытнохоботник (Ceutorhynchus pleurostigma M).
Лёт имаго в посевах культуры начинается с конца августа. Осенью самка вредителя откладывает яйца в ямки, выгрызенные на корневой шейке и в верхней части молодых растений озимого рапса. Отродившиеся из яиц личинки, повреждают ткани, вызывая разрастание корня в виде галла (рисунок 2). Такие растения легко вымерзают, или их корни при распаде галлов могут вторично быть поражены грибковыми болезнями.

Изображение

Рисунок 2 – Характер повреждения корней озимого рапса личинками корневого (галлового) капустного скрытнохоботника


При наличии в посевах озимого рапса имаго вредителя – 2–3 жука в желтой чашке-ловушке в течение 3-х дней необходимо произвести обработки препаратами согласно «Государственного реестра средств защиты растений...».

Капустная моль (Plutella xylostela L., синоним P. maculipennis Curt.). В последние годы отмечается массовое и повсеместное распространение данного вредителя в посевах ярового рапса. В условиях Беларуси вредитель может развиваться в 3–4 поколениях. Для развития одного поколения вредителя требуется сумма эффективных температур 390–460 оС. Поэтому, в зависимости от погодный условий полный цикл развития вредителя может длится от 13 до 33 дней. Отродившиеся из яиц гусеницы вгрызаются в глубь верхней стороны листа и выедают в нем полость – мину. Со второго возраста гусеница выходит из мины и поселяется на нижней поверхности листа, выгрызает паренхиму листа округлыми углублениями, не трогая кожицу противоположной стороны. Повреждение имеет вид окошечка, затянутого прозрачной пленкой. Впоследствии кожица прорывается, и углубление становится сквозным (рисунок 3).

В условиях нашей страны капустная моль распространена преимущественно в посевах ярового рапса. Вместе с тем, в складывающихся погодных условиях текущей осенней вегетации, возможен лёт бабочек и в посевах озимого рапса под урожай 2026 г. При массовом лете имаго вредителя необходимо проводить инсектицидные обработки.

Изображение

Рисунок 3 – Характер повреждения листьев озимого рапса личинкам капустной моли в период осенней вегетации


В отдельные годы осенью в посевах озимого рапса отмечается повреждение растений личинками минирующих мух (Phytomyza rufipes M., Scaptomyza flaveola M.). Вред растениям наносят личинки, которые на верхней стороне листьев образуют проходящие вдоль жилок и затем проникающие в них мины. Иногда личинка сразу проникает в прожилку, не оставляя внешних симптомов, при этом повреждает точку роста растений озимого рапса (рисунок 4).

Изображение

Рисунок 4 – Характер повреждения растений озимого рапса личинками минирующих мух


Важно отметить, что защита посевов от вышеизложенных вредителей, как правило, совпадает с применением инсектицидов против ложногусениц рапсового пилильщика.

Для достижения максимальной биологической эффективности инсектицидов от основных вредителей озимого рапса в период осенней вегетации необходимо применять их согласно «Государственному реестру...» при следующих температурных параметрах:

  • - синтетические пиретроиды– +10...+20 °С;
  • - фосфорорганические соединения (ФОСы)– +15...+20 °С;
  • - неоникотиноиды и оксидиазины– +15...+20 °С;
  • - бутенолиды – +10...+20 °С;
  • - пиметрозины – +15...+20 °С;

Таким образом, выполнение данных рекомендаций по защите озимого рапса от вредителей, создаст благоприятные условия для оптимального роста и развития культуры в период осенней вегетации.

Материал подготовили:

Запрудский А.А.

Гайдарова С.А.

Привалов Д.Ф.

РУП «Институт защиты растений»


2025-09-12
Внимание!!! Капустная моль!
Сигнализационное сообщение № 25 от 12 сентября 2025 года
Изображение

В посевах озимого рапса, находящегося в фазе «всходы – 5-6 настоящих листьев» отмечается заселение гусеницами капустной моли.

В условиях Беларуси вредитель может развиваться в 3–4 поколениях. Зимуют куколки на растительных остатках крестоцветных сорных растений, а в отдельные, благоприятные годы и бабочки. Лёт бабочек первого поколения начинается при температуре воздуха +10 0С, чаще всего во второй – третьей декаде апреля. Вначале вылетают бабочки, зимовавшие под растительными остатками, позже те, которые образовались после окукливания. Установлено, что продолжительность жизни бабочек составляет 5 дней без питания и до 18–28 дней при питании на цветках крестоцветных сорных растений. Откладывание яиц бабочками первого поколения очень растянуто и зависит от температурного режима и кормовой базы, что в дальнейшем отражается на развитии и численности последующих поколений. В результате, в посевах рапса и других крестоцветных культур одновременно могут присутствовать все стадии капустной моли.

Изображение

Средняя плодовитость самок 80–170 яиц, максимально до 300 штук. Отложенные яйца желтовато-белые, к концу развития темнеют. Самки откладывают яйца вдоль жилок на нижнюю сторону листьев, располагая их поодиночке, чаще группами до 5 штук.

Отродившиеся из яиц гусеницы вгрызаются в глубь верхней стороны листа и выедают в нем полость – мину. Со второго возраста гусеница выходит из мины и поселяется на нижней поверхности листа, выгрызает паренхиму листа округлыми углублениями, не трогая кожицу противоположной стороны. Повреждение имеет вид окошечка, затянутого прозрачной пленкой. Впоследствии кожица прорывается, и углубление становится сквозным.

Изображение

Обработки посевов следует проводить средствами защиты растений включёнными в «Государственный реестр средств защиты растений и удобрений, разрешённых к применению на территории Республики Беларусь».


В соответствии со статьей 22 Закона Республики Беларусь от 25.12.2005 №77-З «О карантине и защите растений» в республике допускаются к применению только средства защиты растений, прошедшие государственную регистрацию и включенные в «Государственный реестр средств защиты растений и удобрений, разрешенных к применению на территории Республики Беларусь». Применение средств защиты растений должно осуществляться при реализации мероприятий по защите растений в соответствии с требованиями санитарных правил, иными обязательными для соблюдения требованиями ТНПА и с соблюдением рекомендаций по применению средств защиты растений лицами, имеющими специальную подготовку, а также с учетом требований, установленных законодательными актами в области охраны окружающей среды и рационального использования природных ресурсов.


Отдел фитосанитарной диагностики, прогноза и контроля
за применением средств защиты растений


2025-09-10
ОСОБЕННОСТИ ПРИМЕНЕНИЯ РЕГУЛЯТОРОВ РОСТА В ПОСЕВАХ ОЗИМОГО РАПСА ОСЕНЬЮ 2025 ГОДА
Изображение

Применение фунгицидов и регуляторов роста осенью в посевах озимого рапса играют важную роль в формировании урожая. Учитывая тот факт, что в осенний период посевы поражаются такими болезнями как альтернариоз, фомоз, ложная мучнистая роса, мучнистая роса, что приводит к ослаблению растений за счет снижения ассимиляционной поверхности листьев, то применение фунгицидов должно быть включено в обязательный прием защитных мероприятий в посевах культуры. Также немаловажную роль в уходе за озимым рапсом осенью обеспечивают регуляторы роста, которые способствуют благоприятной перезимовке культуры за счет укорачивания стебля и снижению риска перерастания посевов, что предотвращает их гибель.

Оптимально сформированные с осени растения рапса должны иметь 8–10 листьев, лучше 10–12, что в дальнейшем определяет количество стеблей и потенциал продуктивности. В конце осенней вегетации (при установлении t ниже 2 °С) подготовку растений рапса к зимовке оценивают по состоянию корневой шейки и главного корня:

  • диаметр корневой шейки должен быть не менее 1 см;
  • высота точки роста над поверхностью почвы – не более 2 см;
  • корневая система должна быть хорошо разветвленной, уходящей на глубину до 25 см;
  • содержание в растениях сахаров – не менее 18 %;
  • плоская розетка растений.

При соблюдении технологии возделывания озимого рапса регуляторы роста обычно применяют во второй – третьей декадах сентября. При этом растения должны находиться в фазе 3–5 настоящих листьев (код ВВСН 13–15). Учитывая погодные условия этого года, которые по температурному режиму в первых двух декадах ниже среднемноголетней нормы на 6,2 °С, то применение данных препаратов будет соответствовать календарным нормам. Однако, если посев рапса проведен в более ранние сроки и к тому же гибридами интенсивного роста, то следует следить за фазами развития культуры. Двукратное применение регуляторов может быть возможно при раннем посеве и при изменение температурного режима выше агроклиматической нормы в третьей декаде августа – сентябре. После первого применения регуляторов роста или фунгицидов, через 10–14 дней после проведения обработки снова наблюдаем за движением точки роста. При ее росте снова проводим обработку. Основным фактором, для принятия решения по применению регулятора роста служит точка роста, поэтому в условиях каждого поля должно приниматься индивидуальное решение по применению данных препаратов. Для определения необходимости данного приема, каждому агроному в полевых условиях уже с трех настоящих листьев необходимо отслеживать тронулась ли точка роста вверх, для этого необходимо прорезать наполовину 100 растений рапса по 10 штук в 10 частях поля, если поле площадью до 100 га и посчитать процент растений, которые тронулись в рост, если поле свыше 100 га, то на каждые 100 га дополнительно берем 2–3 точки по 10 растений. Решение проведения целесообразности обработки будет когда процент тронувшихся в рост растений составит 50 % и более. Если мы имеем неоднородные посевы озимого рапса к моменту применения регулятора роста, ориентируемся на растения, которые занимают 50 % и более площади посева.

Еще одним немаловажным фактором при внесении пестицидов является температура воздуха, которая должна быть менее 25 °С на момент обработки и в период всасывания препарата, поэтому проведение защитных мероприятий в посевах озимого рапса целесообразнее перенести на вечернее и ночное время. Обращаем ваше внимание, что при применении препаратов при температуре 25 °С и выше эффективность их снижается или сводится к нулю.

Что касается действующих веществ фунгицидов с росторегулирующим действием и самих регуляторов роста. Препараты на основе действующих веществ мепикватхлорид, тринексапак-этил и хлормекватхлорид, принадлежат к химическому классу ингибиторы гиббереллинов, которые блокируют синтез гиббереллина, проникают как в надземную часть растений, так и в корневую систему. Эта группа веществ действует надѐжно, в определенных условиях даже жестко. Средняя продолжительность действия – около 2-х недель. Следует учитывать, что фитотоксическое действие на развитие корневой системы и рост растений может проявиться в условиях повышенной температуры, при недостатке влаги в почве, а также при неустойчивой погоде. Препараты на основе действующих веществ из класса триазолов (метконазол, протиоконазол, тебуконазол, дифеноконазол, паклобутразол) работают более «мягко», блокируя биосинтез гиббереллина на трѐх этапах. Это позволяет добиться эффекта невысокой нормой расхода, исключая фитотоксическое действие на культуру. Обладая системным фунгицидным действием, триазолы обеспечивают контроль грибных болезней, что также повышает шансы успешной перезимовки рапса.

Применение регуляторов роста в посевах озимого рапса можно совмещать в баковой смеси с борными удобрениями, граминицидами и инсектицидами.

Материал подготовили:

кандидат с.-х. наук, доцент Лешкевич Н.В.

доктор с.-х. наук А.А. Запрудский


2025-09-09
ВНИМАНИЕ! ЗОЛОТАРНИК КАНАДСКИЙ (Solidago canadensis L.)
Изображение

В последние десятилетия золотарник канадский широко распространился по всей Беларуси. По степени опасности для окружающей среды и благополучия человека этот чужеродный вид находится в одном ряду с борщевиком Сосновского.

Изображение

На пользования землях сельскохозяйственного при возделывании различных сельскохозяйственных культур, где проводится обработка почвы и вносятся различные гербициды, сенокосах и пастбищах распространения золотарника канадского не отмечается.

На землях несельскохозяйственного пользования борьба с золотарником канадским в основном ведется механическим способом, а также проведением химических обработок. Скашивать растения золотарника рекомендуется по мере отрастания до 30–50 см, то есть 3–4 раза за сезон.

Для химической борьбы с золотарником канадским на землях несельскохозяйственного пользования препаратов.

Гербицид Магнум, ВДГ (метсульфурон-метил) вносится на участках, где золотарник представлен молодыми растениями первого года жизни, взошедшими из семян, так и многолетними экземплярами, отрастающими после очередного подкоса участка (при высоте растений до 30 см). Через месяц после обработки эффективность гербицида в норме 100 и 200 г/га составила 85 % и 92 % по численности и 89 % и 98 % по массе. В норме 300 г/га золотарник канадский погибал полностью.

Помимо гербицида Магнум, ВДГ на землях не сельскохозяйственного пользования разрешено применение препаратов сплошного действия. После внесения гербицидов пролонгированного действия на основе сульфометурон-метила кислоты (Террсан, ВДГ; Веник, ВДГ) и имазапира (Форус, ВК; Грейдер, ВГР) (при высоте золотарника канадского до 30 см) растения начинают изменять свою окраску – желтеют, приобретают бардовый цвет, приостанавливаются в росте. Гербицидная активность проявляется через 2–3 месяца после обработки. Биологическая эффективность выше 95 %.

Отмечается достаточно высокая эффективность применения глифосатсодержащих гербицидов против золотарника канадского. Биологическая эффективность данных гербицидов при применении в максимально разрешенных нормах расхода (согласно «Государственного реестра…») достигала 92–100 % по численности и 93–100 % по массе (при высоте золотарника до 30 см).

При применении баковой смеси глифосатсодержащий гербицид + Магнум, ВДГ (10 г/га) золотарник канадский погиб на 90 %, его вегетативная масса уменьшилась на 96 %. Баковая смесь глифосатсодержащего гербицида c гербицидом Магнум, ВДГ (20 г/га) обеспечила полную гибель (100 %) золотарника канадского.

Применение гербицидов в водоохранных зонах и границах прибрежных полос регулируется Водным кодексом Республики Беларусь от 30 апреля 2014 г. № 149-3.

Применение гербицидов в городах и других населенных пунктах допускается в соответствии с «Государственным реестром … ».

Материал подготовили:

Шкляревская О. А., ведущий научный сотрудник лаборатории гербологии, кандидат с.-х. наук, доцент;

Якимович Е. А., заместитель директора по научной работе, кандидат с.-х. наук, доцент.

Отдел фитосанитарной диагностики, прогноза и контроля
за применением средств защиты растений


2025-09-09
ОПАСНЫЙ ВРЕДИТЕЛЬ ПОСЕВОВ ОЗИМОГО РАПСА И ОЗИМЫХ ЗЕРНОВЫХ КУЛЬТУР ОСЕНЬЮ – ОЗИМАЯ СОВКА!
Изображение

Республика Беларусь относится к северной зоне вредоносности озимой совки (Agrotis segetum Den.&Schiff.), где фитофаг развивается, в основном, в одном поколении и повреждает преимущественно картофель, сахарную свёклу и кукурузу. В отдельные годы с теплым вегетационным периодом в западных и южных районах республики вредитель даёт второе неполное поколение, уничтожая всходы озимого рапса и озимых зерновых культур. Данный вид относится к подгрызающим совкам (рисунок 1).

Изображение

Рисунок 1 - Имаго озимой совки (Agrotis segetum Den.&Schiff.)



Озимая совка второго поколения является второстепенным многоядным вредителем как озимого рапса так и озимых зерновых колосовых культур, но в отдельные годы наблюдаются регулярные подъемы численности – в 2013, 2015 и 2022 г. (озимые зерновые); в 2018 и 2024 г. – в посевах озимого рапса. Лёт бабочек начинается в середине июля и продлится до середины сентября. Самки откладывают яйца по одному или небольшими группами на нижнюю сторону листа и черешки низкорослых сорных растений (лебеда раскидистая, вьюнок полевой, осот розовый, виды горцев) или на поверхность почвы (наблюдается более высокая температура приземного слоя воздуха, предпочитают лѐгкие, рыхлые, хорошо обработанные почвы) и падалицу, после чего появляются гусеницы. Гусеница проходит 6 возрастов, которые развиваются в среднем 24-36 дней.

До середины октября совка вредит не только озимому рапсу, но и озимым зерновым культурам – пшенице, тритикале, ячменю и ржи. Прожорливость гусениц озимой совки второго поколения в осенний период увеличивается в 15–16 раз. Вредоносность совки определяется также и характером, наносимых повреждений и состоянием культуры. В I-ом возрасте гусеницы выскабливают мякоть листа, оставляя нетронутой верхнюю кожицу, во II-ом – проедают лист насквозь, но не трогают жилок; в дальнейшем скелетирование принимает все большие размеры. Самой вредоносной является гусеница III возраста (длиной 20 мм), которая появляется во II–III декаде августа – I декаде сентября. В этом возрасте вредитель начинает объедать листья с краев так, что от них могут остаться лишь огрызки. Обычно гусеница подгрызает черешок листа и не съедает его полностью, так как суточная норма ее выражается всего в десятых долях грамма; но так как поврежденный лист за день увядает, то вечером гусеница срезает уже новый лист. Повреждает также в почве высеянные семена и проростки, перегрызает растения на уровне почвы. Фитофаг за короткий промежуток времени может полностью уничтожить всходы. Гусеницы питаются иногда до декабря и уходят на зимовку.

Изображение

Гусеница III возраста (рисунок 2):

  1. питается вечером и ночью, днем прячется с нижней стороны прилегающих к земле листьев или в поверхностном слое почвы или под различными укрытиями на её поверхности;
  2. начиная с III возраста питается культурными растениями – озимым рапсом и озимыми зерновыми культурами;
  3. одна гусеница может повредить до 10 растений в день.

Изображение

Рисунок 2 – Гусеница III возраста



Известно, что большое значение в динамике численности озимой совки имеют метеорологические условия: благоприятными являются осадки в период развития гусениц младших возрастов при довольно высоких среднесуточных температурах. По литературным данным оптимальная влажность в период яйцекладки озимой совки составляет 65–80% при температуре +20…+25 °С.

В связи с тем, что учет этого вредителя достаточно сложен из-за его скрытого образа жизни, для наблюдений за динамикой численности озимой совки наиболее информативным и достаточно простым является феромониторинг. Для начала, массового лета фитофага и его окончания в агроценозах озимого рапса и зерновых культур используются дельтовидные ловушки типа «Атракон-А» с синтетически половым феромоном данного объекта (рисунок 3). Осмотр ловушек, подсчет и удаление отловленных имаго с клеевых вкладышей проводят каждые 3–4 дня, начиная с момента попадания в ловушку первой бабочки. Учеты показали, что в Брестской области в посевах озимого рапса во II–III декаде августа (I декада августа: среднесуточная температура воздуха составила 19,7 °С, осадков 0,8 мм, II – 19,5 и 0; что на 1,1-1,7 превышала средние значения, в III декаде – на данный момент 14,7 °С и 11,4 мм) отлавливалось от 22,0 до 33,0 ос./сутки, в Гомельской области - 15,0–21,0 ос./7 суток.

Если за 10 дней улов на 1 ловушку составил 10 и более самцов озимой совки, то необходимо провести уточняющее обследование поля озимого рапса на наличие гусениц вредителя; при их численности выше ЭПВ необходимы химические обработки. В зависимости от погодных условий появление гусениц младших возрастов в популяции происходит через 7–17 дней после установления срока массового лёта бабочек. В эти сроки при необходимости планируется проведение химических обработок.

В настоящее время химический метод является основным для контроля чешуекрылого вредителя в агроценозах. Для предупреждения повреждений озимых зерновых культур гусеницами озимой совки, особенно на ранних этапах роста и развития, рекомендуется предпосевная обработка семян препаратами инсектицидного (Сидоприд, ТСК (имидаклоприд, 600 г/л)) и инсектицидно-фунгицидного действия (Кинг Комби, КС (ацетамиприд, 100 г/л + флудиоксонил, 34 г/л + ципроконазол, 8,3 г/л) и Флутеприд, ТС (имидаклоприд, 400 г/л + тебуконазол, 30 г/л + флудиоксонил, 50 г/л). Обработка семян пшеницы озимой препаратами Сидоприд, ТКС (0,5 л/т) и Флутеприд, ТС (0,8–1,0 л/т), а также семян озимых тритикале, пшеницы, ячменя и ржи протравителем Кинг Комби, КС (1,5 л/т) способствовало снижению поврежденности стеблей гусеницами фитофага в пределах 80,9-86,8 %.

Изображение

Рисунок 3 - Уловистость полового феромона озимой совки второго поколения, 2025 г.



Что касается озимого рапса, особенно ранних сроков сева, то в связи с тем, что период защитного действия протравителей инсектицидного действия ограничен и их биологическая эффективность на полях с высокой численностью гусениц озимой совки недостаточна для их снижения до экономически неощутимого уровня, возникнет необходимость в период всходов культуры в дополнительном проведении инсектицидных обработок.

Для определения сроков применения инсектицидов в осенний период очень важно установить, когда отродившиеся гусеницы достигают I–III возраста. В это время они заселяются на нижней стороне листьев, то есть наружно, поэтому оптимальным сроком химической обработки посевов озимых культур является преобладание гусениц младшего возраста при пороговой их численности в зависимости от культуры от 1,0 до 8,0 ос./м².

Культура Фаза развития растений (BBCH) ЭПВ (ос./м² почвы)
Пшеница прорастание – развитие листьев (00–13) 5,0
Тритикале 2,0-3,0
Рожь и ячмень 5,0-8,0
Рапспрорастание – розетка листьев (00–13)1,0–3,0
(13–19) 6,0–8,0

Численность устанавливается при почвенных раскопках на глубине до 7 см в дневное время или наложением рамок в вечернее время или поврежденными растениями. Обработку посевов озимых зерновых культур рекомендуется проводить в стадии 1 листа – начало кущения химическими препаратами от подгрызающих совок. Зарегистрированные инсектициды Протеус, МД (0,75 л/га) и Фаскорд, КЭ (0,1 л/га) показали высокую биологическую эффективность – 85,9–94,2 %. На сегодняшний день в «Государственном реестре средств защиты растений…» нет препаратов, разрешенных к применению против гусениц подгрызающих совок на озимом рапсе. Поэтому в хозяйствах республики рекомендуется обрабатывать посевы в фазе всходов в вечернее и ночное время химическими препаратами с рекомендованной максимальной нормой расхода, которые зарегистрированы против специализированных вредителей (крестоцветные блошки, ложногусеницы рапсового пилильщика).

Временно для ликвидации очагов гусениц вредителя можно обрабатывать посевы в дневное время при температуре не ниже +12 °С и не выше +20 °С инсектицидами комбинированного (д.в. пиретроиды и фосфорорганические соединения, д.в. пиретроиды и неоникотиноиды) и системного действия. При выборе инсектицида необходимо исходить, прежде всего, из биологических особенностей насекомого, характера распределения препарата в растениях и способности его контролировать численность вредителя на желаемый период времени. Биологическая эффективность проводимых мероприятий может значительно снижаться в агроценозах при наличии гусениц старших возрастов.

Таким образом, необходимо использовать феромонные ловушки для учета численности озимой совки в хозяйствах республики Брестской, Гомельской и Гродненской областей для предупреждения повреждений всходов озимого рапса и озимых зерновых культур, а также определения целесообразности проведения целевых защитных обработок против данного вида.

Подготовили материал:

директор РУП «Института защиты растений», доктор с.-х. наук А.А. Запрудский,

заведующая лабораторией энтомологии, кандидат с.-х. наук С.В. Бойко, заведующая лабораторией кормовых и технических культур, кандидат с.-х. наук Н.В. Лешкевич.


2025-09-04
Внимание!!! Рапсовый пилильщик!
Сигнализационное сообщение № 24 от 4 сентября 2025 года
Изображение

На посевах озимого рапса отмечено заселение ложногусеницами рапсового пилильщика.

Личинка пилильщика, называемая ложногусеницей, длиной 17-18 мм, грязно- зелёная с чёрной головой, длиной около 25 мм, имеет 11 пар ног. На морщинистом теле по спине и бокам проходят продольные тёмно-бурые полосы.

Изображение

Насекомые вылетают после зимовки обычно в начале мая; уже через несколько дней откладывают яйца. Новое поколение в июле-августе, также с откладыванием яиц; личинка следующего поколения с конца августа поражает все крестоцветные культуры. Зимуют взрослые ложногусеницы в почве на глубине 7-15 см, внутри кокона.

Личинка прогрызает сквозные дыры в листьях и объедает их края (не трогая толстых жилок), иногда приводя к полному уничтожению листьев. Повреждённые растения теряют ассимиляционную поверхность, что задерживает их рост и развитие, а при повреждении стеблей и генеративных органов непосредственно снижается урожай семян.

Особенно вредоносна в том случае, когда в конце лета и осенью стоит жаркая погода с дифицитом осадков.


Метод учёта:
Осмотр 5 растений в 20 местах по диагонали поля в фазы развития рапса «первая пара настоящих листьев – розетка листьев»

Экономический порог вредоносности:
1-2 ос. /растение при 10% заселённости


В соответствии со статьей 22 Закона Республики Беларусь от 25.12.2005 №77-З «О карантине и защите растений» в республике допускаются к применению только средства защиты растений, прошедшие государственную регистрацию и включенные в «Государственный реестр средств защиты растений и удобрений, разрешенных к применению на территории Республики Беларусь». Применение средств защиты растений должно осуществляться при реализации мероприятий по защите растений в соответствии с требованиями санитарных правил, иными обязательными для соблюдения требованиями ТНПА и с соблюдением рекомендаций по применению средств защиты растений лицами, имеющими специальную подготовку, а также с учетом требований, установленных законодательными актами в области охраны окружающей среды и рационального использования природных ресурсов.

Отдел фитосанитарной диагностики, прогноза и контроля
за применением средств защиты растений


1 2 3 4 5 6 7 8 9 10 11 12 13 14 15 16 17 18 19 20 21 22 23 24 25 26 27 28 29 30 31 32 33 34 35 36 37 38 39 40 41 42 43 44 45 46 47 48 49 50 51 52 53 54 55 56 57 58 59 60 61 62 63 64 65 66 67 68 69 70 71 72 73 74

 Веб-сайт лучше всего просмватривать в FF 8.0.1, IE 9, Chrome 16.0.912.75 and Safari 4.0 наборы браузера и в 1366 x 768 разрешением

 
 
 
 
 
 
 
 
Close